1902 E Republican Road, Cabot, AR 72023
- 2 beds |
- 2 baths |
- 980 sqft
Single-Family Home
Built in 2024
—— sqft lot
—— car garage
$209/sqft
Listed 1 month ago
Property Description
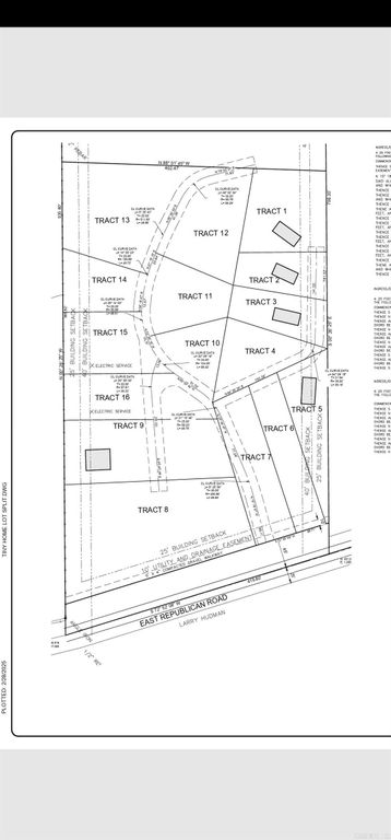
Welcome to Tiny Town that is located between Jacksonville and Cabot. This is the perfect investment opportunity to add to your rental portfolio. This is 5.81 that is broken down in Tracks to where you can add a tiny home, RV, or Small mobile home that can be a permanent residence or investment opportunities. Tract 9 has a 2/2 980 sq ft home along with Tract 16 that is set up and are ready for you to add water lines and the electric is already stubbed out.There is ample opportunity to have a great investment. There is no restrictions.
- Listing Status:
- Active
- Date Added:
- September 17, 2025 at 12:00AM
- Listing Office:
- Bias 4 U Realty : 501-680-0128
- Listing Agent:
- Jaime C Spears Bias : 501-680-0128
- MLS ID:
- 25037364

- General: Hardie Board
- Style: Contemporary
- Parking: Parking PadsOne CarTwo Car
- Roofing: Architectural Shingle
- General: One StoryCrawl Space
- Road/Access: Gravel
- HOA Amenities: 0.0
- County: Pulaski
- Utilities: SepticWater-PublicElectric-Co-op
This listing courtesy of Jaime C Spears Bias, Bias 4 U Realty
Monthly Payment
- Principal & Interest $
- Property Taxes $
- Home Insurance $
- VA Funding Fee $
Location
Schools Nearby
Pinewood Elementary School
1919 Northeastern Ave, Jacksonville, AR, 72076
Grades KG-5
3.87 miles away
Jacksonville Middle School
718 Harris Rd, Jacksonville, AR, 72076
Grades 6-8
5.56 miles away
Jacksonville High School
2400 Linda Ln, Jacksonville, AR, 72076
Grades 9-12
3.74 miles away


