0 Morning Glory, Adelanto, CA 92301
Land
Built in ——
0.94acre lot
—— car garage
$——/sqft
Listed 2 months ago
Property Description
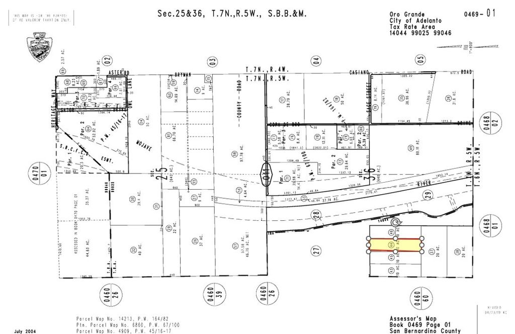
±10 acres of unimproved residential land for sale on Morning Glory Rd in Adelanto; APN: 0469-011-45. Zoned Desert Living (DL-9) this lot will allow for a variety of secondary uses in conjunction with a primary residential use, including equestrian facilities, agricultural uses, and the raising of small animals, commercial kennels, stables, and others varied commercial activities subject to a conditional use permit. This site is immediately north of the Southern California Logistics Airport, which is home to such companies as Amazon, Boeing, General Electric, Goodyear Tire, Dr. Pepper/Keurig, Newell Rubbermaid, M&M/Mars, and more. Millions of square feet of industrial product are entitled in this area of Adelanto, bringing a massive amount of infrastructure to the surrounding parcels. This site is also approximately 25 miles from BNSF’s future Barstow International Gateway (BIG), a state-of-the-art intermodal facility spanning 4,500-acres designed to revolutionize international logistics and distribution regionally and domestically. Buyer to verify all information contained herein. Agent and their representatives are not responsible for the accuracy of these claims.
- Listing Status:
- Active
- Date Added:
- August 19, 2025 at 05:00AM
- Listing Office:
- NAI Capital, Inc. : 760-780-4200
- Listing Agent:
- Mehdi Mostaedi : 760-780-4200
- MLS ID:
- HD25187422

- Zoning: DL-90469011450000
- View: DesertView
- Water: See Remarks
- Source: CRMLS
This listing courtesy of Mehdi Mostaedi, NAI Capital, Inc.
Monthly Payment
- Principal & Interest $
- Property Taxes $
- Home Insurance $
- VA Funding Fee $
Location
Schools Nearby
Riverside Preparatory
19121 Third St, Oro Grande, CA, 92368
Grades KG-12
3.99 miles away
Riverside Preparatory
19121 Third St, Oro Grande, CA, 92368
Grades KG-12
3.99 miles away
Riverside Preparatory
19121 Third St, Oro Grande, CA, 92368
Grades KG-12
3.99 miles away






