2002 -2008 Pacific Coast Highway, Lomita, CA 90717
- 924 sqft
Commercial Property
Built in 1964
0.4acre lot
—— car garage
$17/sqft
Listed 2 years ago
Property Description
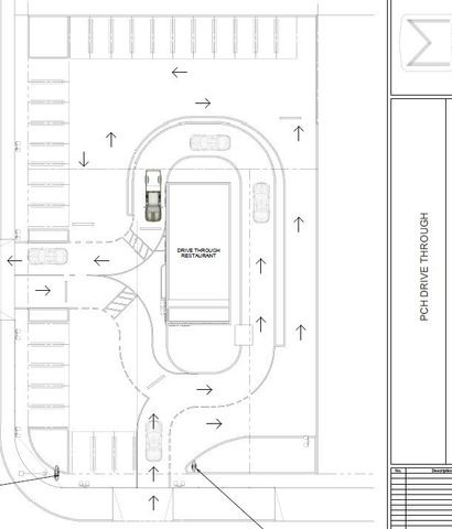
Extremely rare corner lot offering on the famous CA Route 1, Pacific Coast Highway. 90' of frontage on PCH. 0.40 Acres zoned commercial in the city of Lomita. Owner has concept drawings and plans for a potential drive-thru establishment. Currently operating as a used car dealership. Owner offers lots of options with flexibility, can do a land lease, build-to-suit, etc. Currently occupied by owner/user and will be delivered vacant upon COE. Parcels included are: 7553-007-054, 7553-007-016, 7553-007-053.
- Listing Status:
- Active
- Date Added:
- November 6, 2023 at 06:00AM
- Listing Office:
- Merit Real Estate : 310-379-4444
- Listing Agent:
- Rodman Amiri : 310-379-4444
- MLS ID:
- PV23206203

- Originating MLS: CRMLS
- County: Los Angeles
- Zoning: 7553007054
- Current Use: Commercial
- Water: Public
- Source: CRMLS
This listing courtesy of Rodman Amiri, Merit Real Estate
Monthly Payment
- Principal & Interest $
- Property Taxes $
- Home Insurance $
- VA Funding Fee $
Location
Schools Nearby
Eshelman Avenue Elementary School
25902 Eshelman Ave, Lomita, CA, 90717
Grades 1-5
0.47 miles away
Fleming Middle School
25425 Walnut St, Lomita, CA, 90717
Grades 6-8
0.28 miles away
George S. Patton Continuation
24514 S W Ern Ave, Harbor City, CA, 90710
Grades 9-12
0.82 miles away
