1060 S State, San Jacinto, CA 92583
Land
Built in ——
4.59acre lot
—— car garage
$——/sqft
Listed 1 month ago
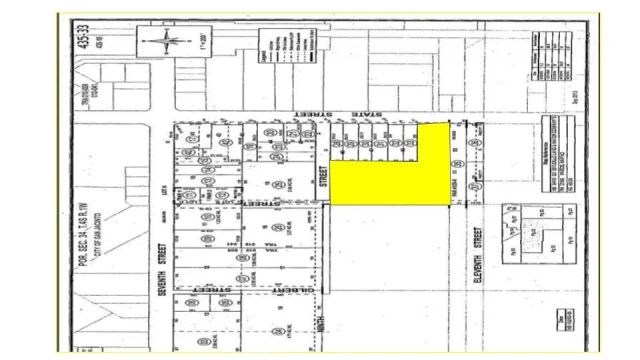
Property Description
High-Potential Investment Opportunity! Two adjoining parcels totaling 4.59 acres0.88 acres on S. State St. and 3.71 acres on 9th St.fully fenced and directly connected. The City of San Jacinto is known for its affordable housing, high homeownership rate, and strong business growth. With the ongoing construction of the Mid County Parkway, this property is positioned to play a key role in connecting San Jacinto to the rapidly expanding city of Hemetan emerging hub for shopping, dining, entertainment, and recreation. This prime corridor is set to attract major residential and commercial development, driving long-term demand and investment value. Conveniently located minutes from downtown San Jacinto, Mt. San Jacinto College, local high schools, Soboba Casino Resort, and Valley-Wide Regional Park, with quick access to the Perris Metro Link Station (20 miles west).Currently zoned Industrial Light (IL), the property offers flexibility and a wide range of potential uses. Parcels may be purchased together or separately. Buyer to verify all information, zoning, and permitted uses with the City of San Jacinto.
- Listing Status:
- Active
- Listing Office:
- Pinnacle Real Estate Group : 626-888-9808
- Listing Agent:
- Yunju Wang : 626-826-4927
- MLS ID:
- TR25217122
- Zoning: 435330034
- Utilities: N/K
- Source: California Regional MLS
This listing courtesy of Yunju Wang, Pinnacle Real Estate Group
Monthly Payment
- Principal & Interest $
- Property Taxes $
- Home Insurance $
- VA Funding Fee $
Location
Schools Nearby
San Jacinto Elementary School
136 N Ramona Blvd, San Jacinto, CA, 92583
Grades KG-5
0.85 miles away
Monte Vista Middle School
181 N Ramona Blvd, San Jacinto, CA, 92583
Grades 6-8
0.92 miles away
San Jacinto High School
500 Idyllwild Dr, San Jacinto, CA, 92583
Grades 9-12
1.22 miles away






