0 Acacia, Wildomar, CA 92584
Land
Built in ——
0.51acre lot
—— car garage
$——/sqft
Listed 3 months ago
Property Description
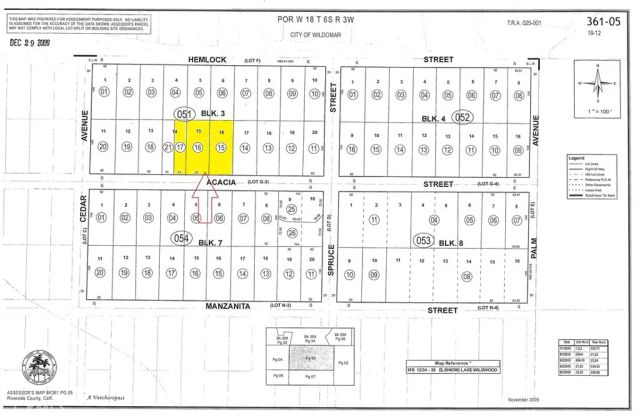
Exciting new listing! Offering a collection of 3 contiguous lots in the growing city of Wildomar, in Riverside County. Located north of the 15 Freeway and Cottonwood Acacia St., Power is nearby the topography varies from flat to gently rolling, offering scenic views and flexible development potential. Short drive to I-15, I-215, and Hwy 74, Proximity to Loma Linda University Medical Center, Mt. San Jacinto College, shopping centers, and schools. Located near Canyon Lake, Menifee, and Lake Elsinore. Whether youre looking to develop one home or invest in multiple parcels, this is an excellent opportunity in one of Southern Californias fastest-growing regions. Enjoy privacy, convenience, and beautiful surroundings, not quite off the grid, but close to nature. Buyer to verify land use and development potential with the City of Wildomar Planning Department. APN: 361-051-015; 361-051-016; 361-051-017. Size: +/- 22,000 S.F; Zoning: RR; Terrain: Flat to rolling; GPS: 33.655138, -117.235228 (S.W Corner)
- Listing Status:
- Active
- Listing Office:
- First Team Real Estate : 714-996-6070
- Listing Agent:
- Amir Maloumi : 714-818-3667
- MLS ID:
- PW25170526
- Zoning: 361051015
- Source: California Regional MLS
This listing courtesy of Amir Maloumi, First Team Real Estate
Monthly Payment
- Principal & Interest $
- Property Taxes $
- Home Insurance $
- VA Funding Fee $






