$299,000
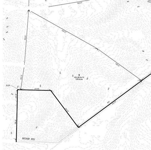
Parcel 8 Darmstadt Road, Evansville, IN 47711
Land
Built in ——
9.99acre lot
—— car garage
$——/sqft
Listed 5 days ago
Property Description
The property is currently in 4 large parcels. The Sellers intentions are to parcelize the property as parcels are sold. Property taxes are estimated at $44 per acre. This is an estimate and is subject to change. The property will need to be surveyed and parceled prior to closing. Seller will pay for parcel and survey. Sizes of each parcel may be adjusted subject to Sellers approval. Before entering the properties, all parties will need to sign a Hold Harmless Agreement.
- Listing Status:
- Active
- Date Added:
- November 3, 2025 at 06:00AM
- Listing Office:
- Hahn Kiefer Real Estate Services : 812-477-6980
- Listing Agent:
- Joe Kiefer : 812-604-5973
- MLS ID:
- 202544558
- Zoning: PT NE SW 30-5-1082-04-30-002-132.011-019
- Current Use: Residential
This listing courtesy of Joe Kiefer, Hahn Kiefer Real Estate Services
Monthly Payment
$Est. Payment
- Principal & Interest $
- Property Taxes $
- Home Insurance $
- VA Funding Fee $
Location
Schools Nearby
H
Highland Elementary School
6701 Darmstadt Rd, Evansville, IN, 47710
Grades KG-5
0.84 miles away
T
Thompkins Middle School
1300 W Mill Rd, Evansville, IN, 47710
Grades 6-8
2.15 miles away
C
Central High School
5400 N 1st Ave, Evansville, IN, 47710
Grades 9-12
1.59 miles away

